Terrain à bâtir - vendu - 1490 Court-Saint-Etienne -

Terrain à bâtir - à vendre - 1490 Court-Saint-Etienne

Description

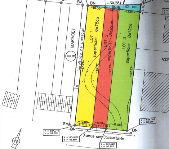
OPTION OPTION OPTION Venez découvrir ce terrain à bâtir situé à Court Saint Etienne ( avenue des Combattants, 142), d'une superficie de 20 ares 94 centiares. Ce terrain offre la possibilité de construire soit une maison 4 façades, soit 3 habitations distinctes avec 3 lots bien définis.
Le lot 1 mesure 6 ares 87 centiares avec une largeur de façade de 10 mètres, le lot 2 mesure 5 ares 42 centiares avec une largeur de façade de 8 mètres et le lot 3 mesure 8 ares 12 centiares avec une largeur de façade de 11,96 mètres.
Le terrain est en pente, idéal pour la construction de type bel étage. Il est situé hors zone inondable, à proximité des écoles, des commerces, des arrêts de bus et des grands axes.
Parfait pour un projet familial ou pour des investisseurs, ce terrain offre de nombreuses possibilités. N'hésitez pas à me contacter pour plus d'informations : Marie Surges 0474/88.59.30. Faire offre à partir de 200 000€ sous réserve de l'accord des propriétaires.
https://www.ccv-immobilier.be/fr/bien/a-vendre/terrain/1490-court-saint-etienne/6037945

Adresse

Avenue des Combattants 142 - 1490 Court-Saint-Etienne

Général

Référence 6037945
Catégorie Terrain à bâtir
Surface du terrain 2094 m²
Disponibilité à l'acte

Caractéristiques Principales

Profondeur terrain 67.77

Raccordements

Égouts Oui
Gaz Oui
Eau Oui

Spécificités terrain

Type d'environnement central
Orientation du jardin (-) nord
Risque d'inondation 2023 (type innondation) Classe A (aucune chance)

Domaine juridique

Permis de bâtir Oui
Permis de lotir Non
Destination bâtiment (type) privé - habitation
Affectation urbanistique zone d'habitat

Cadastre

Surface (ha/a/ca) (surf. (ha/a/ca)) 2094 m²
Revenu cadastral (€) (montant) 15 €

À proximité

Magasins Oui
Ecoles Oui
Transports en commun Oui
Centre sportif Oui
Autoroute Oui
Gare Oui
Votre agent
Marie Surges
E-mail Tel.
Prendre contact pour le bien : 6037945

* Champs obligatoires

Préférences pour les cookies

La protection de vos données personnelles est importante pour nous. C’est pourquoi nous détaillons ci-dessous les différents services et fonctionnalités du site qui utilisent des cookies et nous vous laissons décider des cookies que vous souhaitez autoriser ou refuser.

Veuillez cependant noter que si vous bloquez certains types de cookies, cela pourrait impacter votre expérience de navigation sur notre site ainsi que les fonctionnalités disponibles.

Nous utilisons des cookies fonctionnels obligatoires pour assurer le bon fonctionnement du site. Ils sont, par exemple, nécessaires pour retrouver le résultat d’une recherche ou enregistrer le choix de la langue.

Certaines fonctionnalités, comme l’affichage de vidéos ou de cartes géographiques, sont assurées via des composants externes développés par des partenaires comme YouTube ou Google. Certains composants utilisent des cookies qui sont susceptibles de permettre à ces tiers de suivre le comportement des internautes afin, par exemple, de réaliser du ciblage publicitaire. L’activation de ces fonctionnalités et des cookies associés est donc soumis à votre consentement.